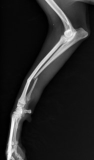
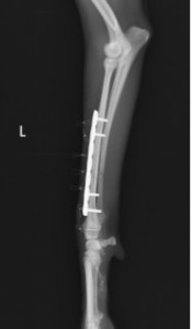
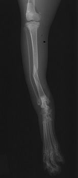
手術前
手術後
ロッキングプレートで整復しました。
—————————————————–———–——
京都府亀岡市大井町並河新戸19-1
TEL:0771-20-2520
ホームページ https://www.takaya-ah.com/
—————————————————–———–——
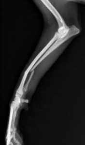
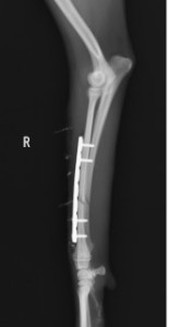
手術前
手術後
ロッキングプレートで整復しました。
—————————————————–———–——
京都府亀岡市大井町並河新戸19-1
TEL:0771-20-2520
ホームページ https://www.takaya-ah.com/
—————————————————–———–——
整復前 整復後
高所からの転落により左肩関節を脱臼。鎮静下にて整復→外固定を約2週間実施。
—————————————————–———–——
京都府亀岡市大井町並河新戸19-1
TEL:0771-20-2520
ホームページ https://www.takaya-ah.com/
—————————————————–———–——
手術(卵巣・子宮全摘出術)を実施し、ウミを多量に含んだ子宮を摘出しました。
—————————————————–———–——
京都府亀岡市大井町並河新戸19-1
TEL:0771-20-2520
ホームページ https://www.takaya-ah.com/
—————————————————–———–——
腰部椎間板ヘルニアに対して片側椎弓切除術を実施しました。
—————————————————–———–——
京都府亀岡市大井町並河新戸19-1
TEL:0771-20-2520
ホームページ https://www.takaya-ah.com/
—————————————————–———–——

手術前 手術後
ロッキングプレートで整復しました。
—————————————————–———–——
京都府亀岡市大井町並河新戸19-1
TEL:0771-20-2520
ホームページ https://www.takaya-ah.com/
—————————————————–———–——




ロッキングプレートで整復しました。
—————————————————–———–——
京都府亀岡市大井町並河新戸19-1
TEL:0771-20-2520
ホームページ https://www.takaya-ah.com/
—————————————————–———–——
手術前 手術後(包皮尿道にはカテーテルが入っています)
術後3週間後
尿道栓子による尿道閉塞を起こした雄猫ちゃんに、尿道のバイパス手術を実施しました。筒状包皮粘膜弁を利用することで術後の合併症を少なくし、見た目も自然な感じになります。
—————————————————–———–——
京都府亀岡市大井町並河新戸19-1
TEL:0771-20-2520
ホームページ https://www.takaya-ah.com/
—————————————————–———–——
手術前 手術後
ロッキングプレートで整復しました。
—————————————————–———–——
京都府亀岡市大井町並河新戸19-1
TEL:0771-20-2520
ホームページ https://www.takaya-ah.com/
—————————————————–———–——
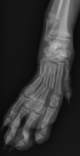
手術前 手術後
ピンニングで整復しました。
—————————————————–———–——
京都府亀岡市大井町並河新戸19-1
TEL:0771-20-2520
ホームページ https://www.takaya-ah.com/
—————————————————–———–——
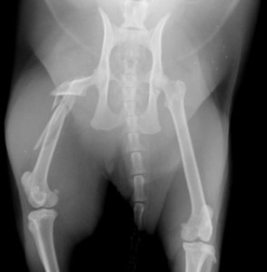
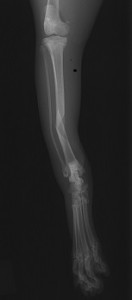
手術前 手術後
プレートロッド(ロッキングプレート&髄内ピン)にて整復しました。
—————————————————–———–——
京都府亀岡市大井町並河新戸19-1
TEL:0771-20-2520
ホームページ https://www.takaya-ah.com/
—————————————————–———–—